Dettagli immobile
- Riferimento
- 87
- Contratto
- VENDITA
- Categoria
- Appartamento
- Comune
- Villa d'Ogna (BG)
- Stato
- Buone condizioni
- Riscaldamento
- Autonomo
- Piano
- 2 su 2
- Terrazzo/Balcone
- Sì
- Classe Energetica
- APE: - 0 Kwh/m2a
- Indirizzo
- Via Donizzetti, 33
24020 Castione della Presolana (BG) - Telefono
- 0346962426
- Email:
- castionedellapresolana@fondocasa.it
Caratteristiche
Dimensione
Camere
Bagni
Box/Posto auto
Descrizione immobile
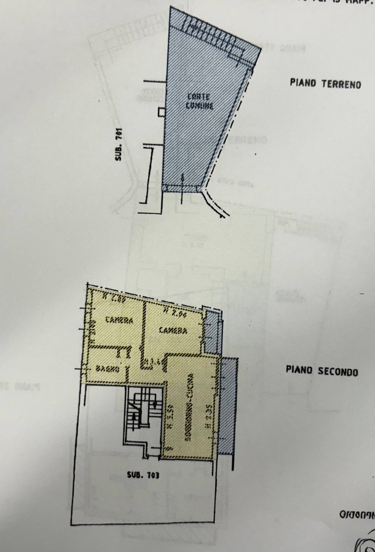
APPARTAMENTO TRILOCALE - VILLA D´OGNA (BG)
Nel cuore di Villa d´Ogna, a pochi passi da tutti i principali servizi, proponiamo in vendita appartamento trilocale situato al primo secondo di palazzina tranquilla, con accesso da corte comune.
L´immobile, caratterizzato da doppia esposizione, si compone come segue:
- ingresso su luminoso soggiorno con angolo cottura,
- ampio balcone,
- camera matrimoniale,
- ampia seconda camera con balcone e
- bagno finestrato.
- posizione centralissima,
- doppia esposizione e
- vicino a tutti i servizi.
ð"Y"z Contattaci oggi stesso per ricevere maggiori dettagli o fissare una visita!
Dove si trova l'immobile?

Altri immobili proposti dall'agenzia
VENDITA
74 - Appartamento
179.000 €
- Superficie
- 85 m2
- Bagni
- 2
- Camere
- 2
- Box/posto auto
- 0
VENDITA
79 - Appartamento
155.000 €
- Superficie
- 72 m2
- Bagni
- 1
- Camere
- 2
- Box/posto auto
- 0
VENDITA
104 - Attico-Mansarda
249.000 €
- Superficie
- 116 m2
- Bagni
- 1
- Camere
- 2
- Box/posto auto
- 1